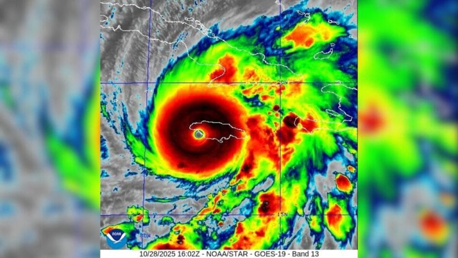
O furacão Melissa, definido por autoridades como a “tempestade do século”, acaba de tocar o solo da Jamaica, na tarde desta terça-feira (28), segundo o Centro Nacional de Furacões (NHC, na sigla em inglês) dos Estados Unidos. Meteorologistas estimam que o fenômeno atravesse a ilha na diagonal, começando na região de Santa Isabel, no Sudeste, e saindo pela região de Santa Ana, no Norte. Ainda conforme especialistas, o furacão deve atingir Cuba nesta terça-feira, poucas horas após chegar à Jamaica.
Continua depois da publicidade
Um boletim divulgado às 12h desta terça-feira pelo órgão já alertava para a aproximação do furacão na costa sudoeste da Jamaica. “Não saia do seu abrigo enquanto o olho do furacão passa, pois os ventos aumentarão rapidamente do outro lado do olho. Para se proteger do vento, a melhor coisa a fazer é colocar o máximo de paredes possível entre você e o exterior. Um cômodo interno sem janelas, idealmente um onde você também possa evitar a queda de árvores, é o lugar mais seguro para se estar em um edifício. Você pode se cobrir com um colchão e usar um capacete para proteção adicional”, escreveu o NHC em uma publicação no X.
O órgão informou ainda que a próxima atualização viria às 17h, ou quando o fenômeno tocasse o solo da Jamaica — que foi o caso.
Viagem de casamento vira momento de tensão para brasileiros na rota do furacão Melissa
Às 6h desta terça, outro boletim do NHC informava que o furacão atingiu ventos “catastróficos” de 280 km/h. O governo da Jamaica já havia emitido ordens de evacuação obrigatória para diversas regiões do país e alertado para danos catastróficos na ilha. Cuba também já começou a evacuar parte da população. O fenômeno está na categoria 5, considerada a mais forte.
Continua depois da publicidade
A Jamaica já registrou deslizamentos de terra, quedas de árvore e numerosos apagões devido à tempestade prévia. A Organização Meteorológica Mundial (OMM) afirmou que esta será a “tempestade do século” na Jamaica e estima que o Melissa pode trazer rajadas de vento que ultrapassam os 300 km/h, com inundações repentinas e deslizamentos.
Veja fotos de furacão Melissa
Imagens impressionantes mostram o olho do furacão Melissa
A Força Aérea dos Estados Unidos divulgou imagens impressionantes captadas do interior do furacão Melissa. Os registros foram feitos por um esquadrão militar a bordo de um avião a hélice, que mergulhou no olho da tempestade para coletar dados meteorológicos cruciais.
A missão, segundo a Força Aérea, visa monitorar a evolução e o deslocamento de Melissa, alimentando os centros meteorológicos com informações em tempo real.
Continua depois da publicidade
Veja o vídeo
*Sob supervisão de Giovanna Pacheco
 
				 
                            
                            




