O primeiro-ministro Andrew Holness, da Jamaica, declarou estado de calamidade pública no país após a passagem do furacão Melissa, nessa terça-feira (28). O governo da Jamaica emitiu ordens de evacuação obrigatória para diversas regiões do país e alertou para danos catastróficos na ilha.
Continua depois da publicidade
“Devemos… continuar a manter a estabilidade de forma proativa, proteger os consumidores e impedir qualquer exploração em um momento em que os cidadãos estão buscando alimentos, água e suprimentos (…) “Essas medidas dão ao governo as ferramentas para continuar gerenciando nossa resposta ao furacão Melissa”, disse Holness.
A declaração tem como objetivo impedir a especulação de preços, disse o primeiro-ministro. O comunicado foi publicado nas redes sociais, enquanto moradores do país se esforçam para garantir bens essenciais.
Veja fotos de furacão Melissa
Com a medida, o governo desbloqueia poderes e financiamentos emergenciais. No entanto, as medidas exatas variam de país para país.
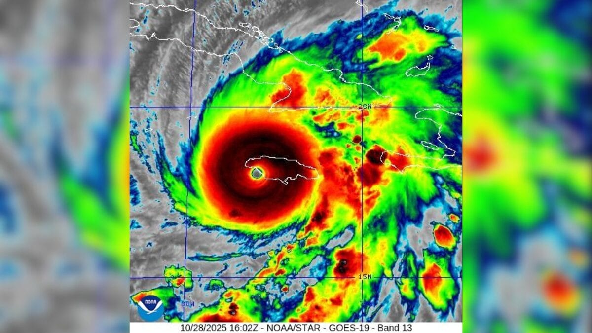
A situação no país é de destruição após a passagem do furacão. Um dos principais aeroportos ficou completamente destruído. Além disso, as chuvas e ventos de quase 300 km/h foram sentidos em praticamente todo o país.
Continua depois da publicidade
Imagens impressionantes mostram o olho do furacão Melissa
A Força Aérea dos Estados Unidos divulgou imagens impressionantes captadas do interior do furacão Melissa. Os registros foram feitos por um esquadrão militar a bordo de um avião a hélice, que mergulhou no olho da tempestade para coletar dados meteorológicos cruciais.
A missão, segundo a Força Aérea, visa monitorar a evolução e o deslocamento de Melissa, alimentando os centros meteorológicos com informações em tempo real.
Veja o vídeo
*Sob supervisão de Luana Amorim
**Com informações da CBN e CNN





